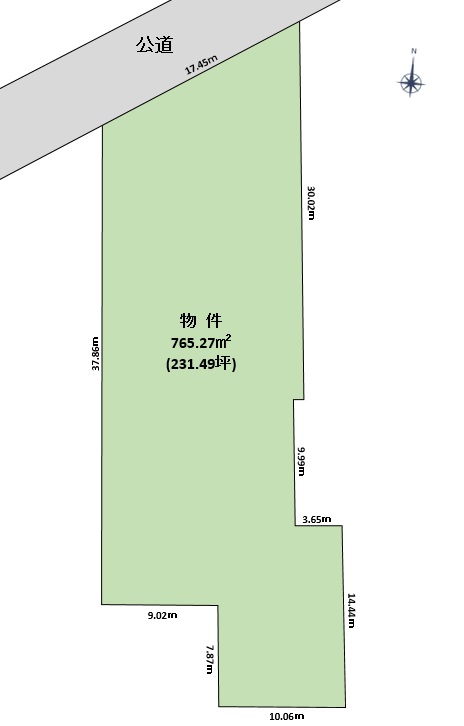
沼津市大岡2179-5他 売土地 本物件のおすすめPOINTS JR御殿場線「大岡」駅徒歩9分♪ 国道1号線近く!交通アクセス良好♪ この物件のお問い合わせはこちら(24時間受付中) 今すぐ電話にてお問い合わせをする(受付時間:9~19時) 所在地 沼津市大岡2179-5他 交通 JR御殿場線「大岡」駅徒歩9 分 価格 6,000万円 現況 建物有 更地渡し 土地面積 765.27㎡(231.49坪) 建物面積 - 用途地域 第1種住居地域 引渡 相談 建ぺい率 / 容積率 60% / 200% 地勢 平坦 接道状況 北側公道5.1m 接道17.4m 地目 宅地 設備 上下水道 学区 大岡小学校・大岡中学校 取引態様 専任 備考 上水道引込直し必要